Der internationale Flughafen Hongkong ist ein wichtiges Drehkreuz, insbesondere für Flüge nach Asien sowie nach Australien und Neuseeland. Er bleibt zwar während des Taifuns grundsätzlich in Betrieb. In einer Mitteilung war aber von "erheblichen Beeinträchtigungen des Flugbetriebs" die Rede. Reisenden wird dringend empfohlen, sich direkt bei den Fluggesellschaften über den Status ihrer Verbindungen zu informieren. Am Airport soll zudem ein Bereich für gestrandete Passagiere eingerichtet werden.
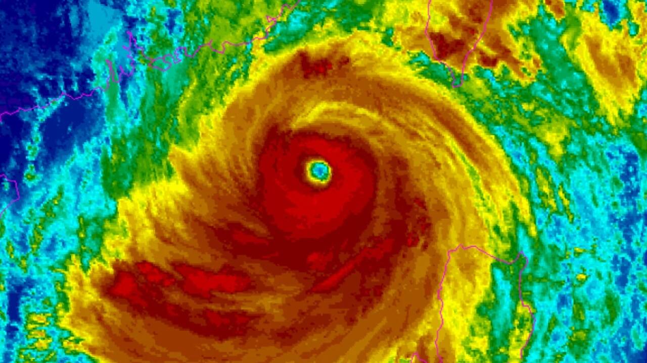
Höchste Taifun-Warnstufe ausgerufen
Derweil wächst auch jenseits des Luftverkehrs in Südchina und Hongkong die Angst vor den möglichen Auswirkungen von "Ragasa". Die Behörden der Provinzen Fujian, Guangdong und Hainan riefen die höchste Taifun-Warnstufe aus. "Ragasa" dürfte laut Prognosen der chinesischen Wetterbehörde am Mittwoch in Guangdong auf Land treffen, anschließend an der Küste entlang weiter in Richtung Westen ziehen und dann an Kraft verlieren.
Am Dienstag bewegte sich der Tropensturm mit etwa 20 bis 25 Kilometern je Stunde vom Südchinesischen Meer auf China zu. Laut Chinas Meteorologen tobten im Sturmgebiet Windhöchstgeschwindigkeiten von Tempo 200 und weit darüber hinaus. Deshalb gilt die höchste Warnkategorie für "Ragasa" - den 18. Taifun im Pazifik in dieser Saison.
Schon seit Tagen laufen die Vorbereitungen auf den Super-Taifun, der kräftigen Sturm, Starkregen und Überflutungen mit sich bringen dürfte. In Guangdong, wo Menschen teils vor leeren Supermarktregalen standen, verordneten die Behörden für einige Großstädte wie Dongguan, Zhuhai und Foshan vorsichtshalber unter anderem die Einstellung des öffentlichen Nahverkehrs.
Dammbruch in Taiwan
Am Vortag war "Ragasa" bereits im Nordteil der Philippinen und an der Inselrepublik Taiwan vorbeigezogen. Die taiwanesische Feuerwehr meldete am Dienstag 30 Vermisste und zwei Tote, nachdem der Damm eines Stausees in der östlichen Provinz Hualien gebrochen war. Wassermassen hatten sich in die Stadt Guangfu ergossen. Einsatzkräfte aus ganz Taiwan eilten nach Guangfu.
Große Evakuierung auf den Philippinen
Von den Philippinen hieß es, dass mindestens ein Mensch getötet und 25.000 Anrainer aus ihren Häusern vertrieben wurden. Der Sturm, der in dem Inselstaat "Nando" heißt, war zuvor mit gefährlichen Windböen von bis zu 265 Kilometern pro Stunde über die Philippinensee gefegt und am Montagnachmittag (Ortszeit) auf den Babuyan-Inseln auf Land getroffen.
Insgesamt wurden auf den Philippinen bisher mehr als 40 Flüge gestrichen. In den betroffenen Gebieten blieben die Schulen und viele Regierungsgebäude weiter geschlossen. Die staatliche Wetteragentur Pagasa hatte im Vorfeld vor "lebensbedrohlichen Bedingungen" mit meterhohen Sturmfluten und Starkregen gewarnt.
Was ist ein Super-Taifun?
Super-Taifune gehören zu den stärksten und gefährlichsten tropischen Wirbelstürmen. Im Nordwestpazifik - Japan, China und die Philippinen - spricht man von einem Super-Taifun, wenn der Mittelwind mindestens 240 Kilometer pro Stunde erreicht. Allein die Philippinen werden jedes Jahr von durchschnittlich etwa 20 Taifunen heimgesucht. Der besonders schlimme Sturm "Haiyan" hatte im November 2013 mehr als 6.300 Menschen das Leben gekostet.
